Property Details
De Anza St, Barstow San Bernardino CA 92311
Residential
$48,995 Description
Barstow Infill Development Opportunity – 9,925 SF Near I-15/I-40 with Strong Growth Potential
Residential - Barstow CA
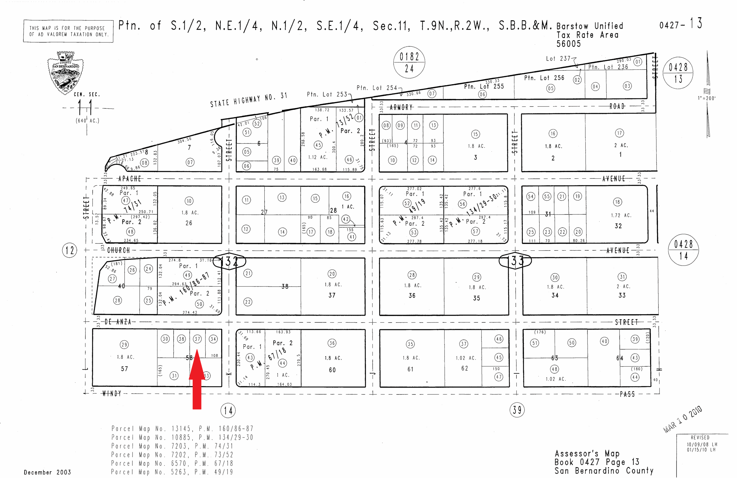
Opportunity to own a well-located infill Lot with excellent accessibility near the intersection of De Anza St. And K St., the I-15 and I-40 freeways. The property has paved road frontage and is surrounded by established, residential, retail, restaurants, and key local amenities. High-traffic area offers strong visibility—ideal for future development or long-term investment. Don’t miss the chance to invest in Barstow’s growing landscape.
Seller Finance Available!
APN: 0427-132-37-0000
GPS: 34.881687, -117.054588
Size: 9,925 SF
Video : https://youtu.be/pg9UmUvhSHE
Property Features
- Land is 9,925 sqft
Residential
