Property Details
Lucerne Valley San Bernardino CA 92356
Description
2 Acres with Sweeping Mountain Views – Lucerne Valley, CA
Residential Sold - Lucerne Valley CA
Escape the noise and discover peace on this beautiful 2-acre parcel nestled in the heart of Lucerne Valley. Surrounded by panoramic views of the San Bernardino Mountains, this level corner lot offers the ideal setting for your off-grid retreat, weekend getaway, or future investment.
Enjoy wide-open desert skies, vibrant sunrises, and crystal-clear stargazing nights from your own slice of paradise. Located just around 30-minute drive from Appe Valley and Hesperia, you’ll appreciate the privacy and seclusion while still being within reach of local amenities.
The property is zoned LV/RC, offering a range of potential uses, and is conveniently located near hiking trails, horseback riding areas, and other outdoor recreational opportunities.
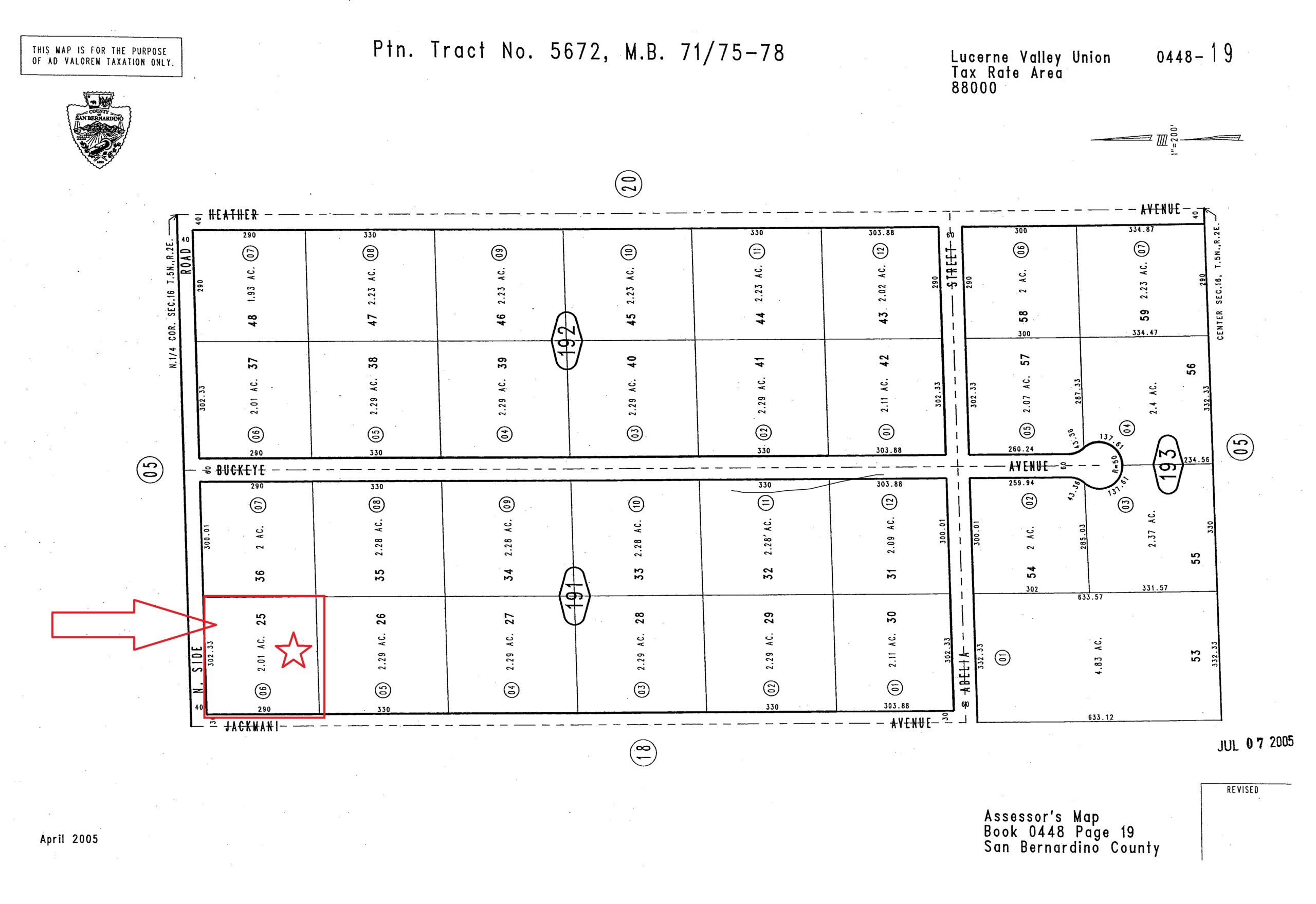
Location: N Side Rd & Jackmani Ave., Lucerne Valley, CA 92356
APN: 0448-191-06-0000
Size: 2.01 Acres
Zoning: LV/RC
GPS Coordinates: 34.529695, -116.783362
Drive by and experience the serene desert landscape for yourself — your dream escape starts here.
Driving: https://maps.app.goo.gl/BSGD1frZJPddYePq5
Video: https://youtu.be/pDm37PkPGVg
Property Features
- Land is 2.01 acres
